LOADING

0.0 Kenmount Road Mount Pearl, Newfoundland & Labrador A1N 0G4

Acreage

$2,200,000

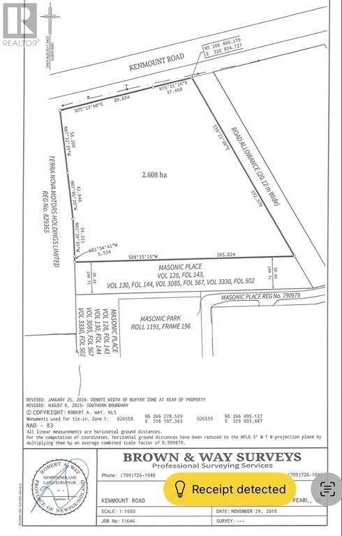
6.44 ACRES on a high visibility area of Kenmount Road in Mount Pearl, with 417’ of road frontage on Kenmount Road. Located on the Northern Municipal boundary of Mount Pearl, in the area between Brant Drive and Mount Carson Avenue, backing on Masonic Place. The front 5.49 acres are Zoned Residential Commercial Mix (RCM) while 0.95 acres at the rear is Zoned Residential High Density (RHD). Many land use possibilities fall into the zoning of RCM, permits and approvals from City of Mount Pearl will be the responsibility of the purchaser. Any applicable HST is the responsibility of the purchaser. There is a 20.12 meter width road allowance held by the provincial government on the east boundary but not located within the boundaries of the 6.44 acres. (id:12973)

Property Details

MLS® Number 1285823
Property Type Vacant Land

Building

Utility Water None

Land

Acreage Yes
Sewer No Sewage System
Size Irregular 6.4 Ac. (417.7’x631.8’x675.4’x462.6’)
Size Total Text 6.4 Ac. (417.7’x631.8’x675.4’x462.6’)|3 - 10 Acres
Zoning Description Rcm/rhd

https://www.realtor.ca/real-estate/28401142/00-kenmount-road-mount-pearl

Interested?

Contact us for more information


Generating Captcha

Rhonda Caldwell

(709) 728-0320
(709) 726-4219
www.rhondacaldwell.com/

RE/MAX Realty Specialists
202-125 Kelsey Drive
St. John's, Newfoundland & Labrador A1B 0L2

(709) 726-8300
(709) 726-4219